தென் கொரியாவை தாக்கிய ஹின்னம்னோர்! – 2 பேர் பலி, 10 பேர் மாயம்!

புதன், 7 செப்டம்பர் 2022 (08:38 IST)
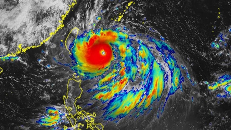
இந்த ஆண்டின் மிகப்பெரிய புயலான ஹின்னம்னோர் தென்கொரியாவை தாக்கியதில் பெரும் பாதிப்பு ஏற்பட்டுள்ளது.

பசிபிக் கடலில் உருவான காற்றழுத்த தாழ்வு மண்டலம் புயலாக வலுவடைந்தது. இந்த புயலுக்கு ஹின்னம்னோர் என பெயரிடப்பட்டது. இந்த ஆண்டின் மிகப்பெரிய புயலாக கருதப்படும் ஹின்னம்னோர் கரையை கடக்க இருந்த நிலையில் ஜப்பான், தென்கொரியா, ஹாங்காங், கிழக்கு சீனா பகுதிகளில் விமானம், கப்பல் போக்குவரத்துகள் நிறுத்தப்பட்டன.

இந்நிலையில் ஹின்னம்னோர் தென் கொரியாவில் கரையை கடந்தது. இந்த புயல் இன்று அதிகாலை 4.50 மணியளவில் உல்சான் நகரம் அருகே கரையை கடந்தது. மணிக்கு 140 கி.மீ வேகத்தில் காற்று வீசிய நிலையில் 3 அடி அளவுக்கு பலத்த மழை பெய்தது. சூறைக்காற்றால் பல பகுதிகளில் மரங்கள் வேரோடு சாய்ந்துள்ளன.

66 ஆயிரம் வீடுகளில் மின் இணைப்பு துண்டிக்கப்பட்டுள்ளது. பல இடங்களில் மழை வெள்ளம் சூழ்ந்துள்ளது. இந்த புயலால் இதுவரை 2 பேர் பலியாகியுள்ள நிலையில், 10 பேர் மாயமாக மறைந்துள்ளனர். மீட்பு பணிகள் துரிதப்படுத்தப்பட்டுள்ளன.

வெப்துனியாவைப் படிக்கவும்

தொடர்புடைய செய்திகள்